Hopewell South PUD pitched as path to homeownership, heads to plan commission in 2026, gets first city council scrutiny
Bloomington’s RDC has OK'd a petition to rezone Hopewell South as a PUD, clearing the way for a plan commission review in January. The proposal would allow up to 98 homes aimed at buyers earning around the area median income. City councilmembers also got an initial look at the PUD proposal.


On Jan. 12 next year, the first meeting of Bloomington’s plan commission will include a proposed rezoning of Hopewell South, which is a roughly 6.5-acre section of the city south of 1st Street, encompassing blocks 8, 9, and 10 of the Hopewell redevelopment neighborhood. It’s the area in and around the site of the former IU Health hospital at 2nd and Rogers Streets.
It will be in front of the plan commission early next year, because Bloomington’s redevelopment commission (RDC), the owner of the property, voted at its regular Monday meeting to authorize RDC staff to move ahead with a petition for a planned unit development (PUD) rezone request. A PUD is a kind of customized zoning.
It is expected that the proposed PUD will be considered at two successive monthly plan commission meetings, which is the usual course of events, RDC executive director Anna Killion-Hanson said at Monday’s RDC meeting. That could put the rezone request in front of the city council by the end of February or early March.
Killion-Hanson said the best‑case scenario would have the zoning and platting wrapped up by late April or mid‑May, positioning the city to hit the 2026 construction season.
The goal of the PUD zoning, Killion-Hanson said, is to increase homeownership opportunities while bringing prices closer to what Bloomington households earning around the area median income can afford.
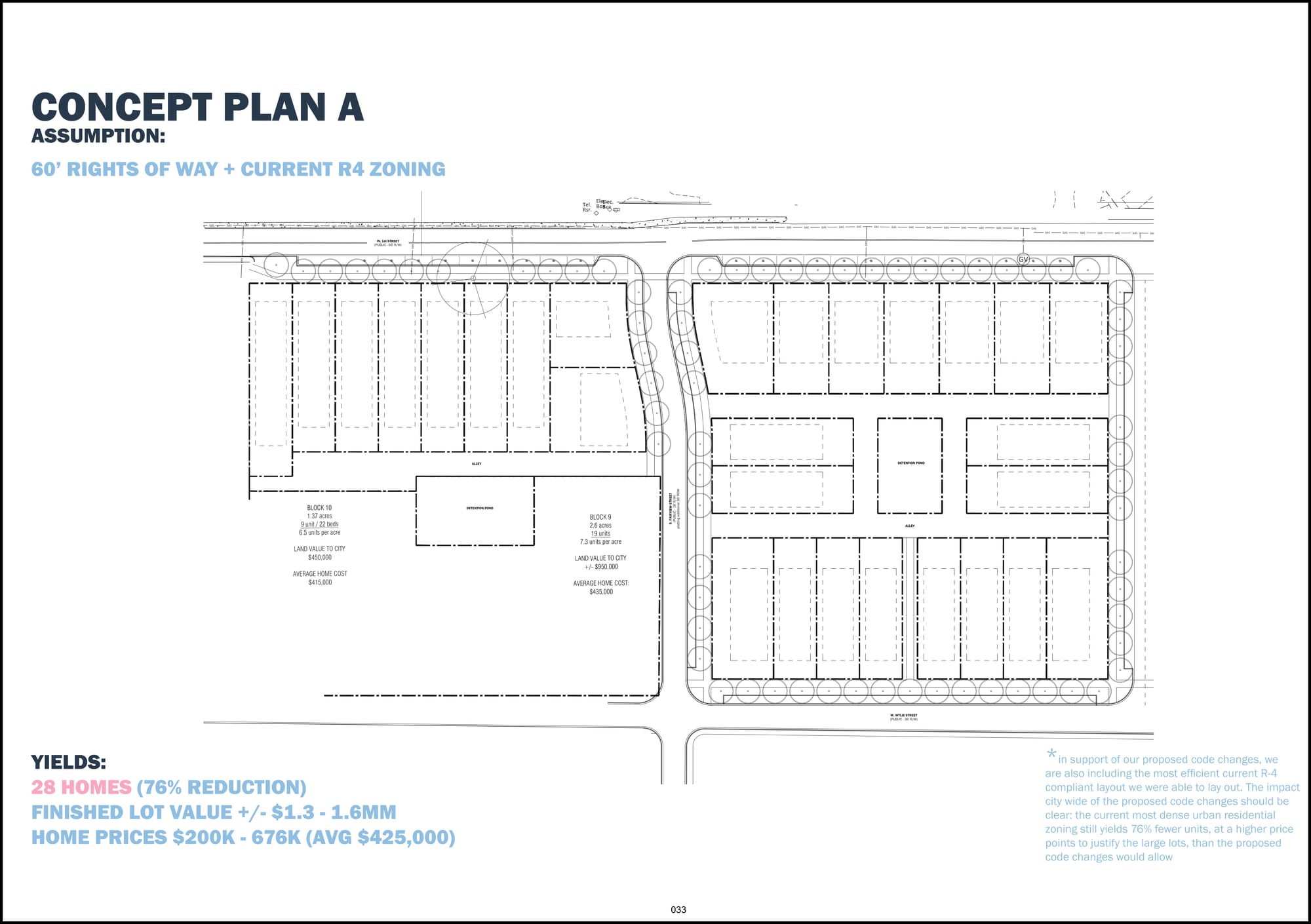
Under existing R4 zoning, planning staff analysis showed the site could support only about 28 homes, at price points “unattainable” for a resident earning the area median income. The proposed PUD framework would instead allow roughly 98 homes, more than the 28 single-family houses that can be built by right—by using smaller lots, more compact urban form, and a simplified subdivision process.
The current targets for Hopewell South have sales prices ranging from about $83,000 up to $653,000. Only a couple of units are at the top of that range, and at least half of the homes are supposed to be attainable to buyers at 100% of area median income (AMI). For 2024, doubling the HUD 50% AMI level (which is “very low income”) would give $69,600 as 100% of AMI for a single-person household.
The approach the city is now taking for Hopewell South comes after the RDC rejected all the offers from two previous public offerings of the land. The approach is supposed to include a catalog of pre-approved house designs, and is supposed to allow smaller-scale local builders to get into the mix.
Killion-Hanson said on Monday that the proposed PUD is supposed to demonstrate how smaller lots, context-based frontage and simplified subdivision processes can expand home ownership opportunities without compromising neighborhood form or environmental performance.
The idea of using Hopewell South as a way to demonstrate zoning concepts that might prove to be useful in other parts of the city, instead of looking first to revise zoning throughout the city, provided a small bit of tension at a special meeting of the city council on Monday.
It was Bloomington mayor Kerry Thomson who called the special city council meeting about the upcoming Hopewell South rezoning request. The council’s meeting started at 4 p.m., an hour before the scheduled RDC meeting.
City council reaction to proposed Hopewell South PUD
The presentation, from consultant Alli Quinlan with Flintlock LAB, was given over a remote electronic connection on Zoom. Flintlock’s contract has a not-to-exceed amount of $300,000 but core services totalling just around $180,000.
Bloomington city councilmembers reacted to Quinlan’s presentation on the Hopewell South planned unit development (PUD) with a mix of enthusiasm for its housing goals, but a bit of skepticism from at least one councilmember about the tool being used to achieve them.
The reaction from councilmembers was generally positive. Several councilmembers praised the underlying concept: smaller homes on smaller lots, pre-approved designs, and an emphasis on attainable ownership rather than just rental units. The basic plan shows 84 homes for Hopewell South and as many as 98 in a final version of Quinlan’s plan.
“I like the plan in general. I like the PUD in general,” said Isabel Piedmont-Smith, indicating particular interest in the idea that the value of the land itself might be used as forgivable down-payment assistance for qualified buyers. But Quinlan stressed that estimated sales prices were based on zero subsidy—assuming everything was market rate.
Councilmember Sydney Zulich said she thinks the idea of forgivable down-payment assistance is a positive aspect of the project and expressed an interest in attending the planned developer and lender workshops.
Councilmembers focused several questions on price points and true affordability. Responding to questions from Dave Rollo, Quinlan laid out a range that starts at about $83,000 for the smallest “micro” unit and tops out around $650,000 for the largest three‑bedroom homes. Those figures, she stressed, are not promised sale prices, but market-based projections derived from Bloomington’s current price‑per‑square‑foot comparables.
“We’ve been able to bring our overall price point down through these code changes by about 40%,” Quinlan said, saying that the average modeled price comes in around $270,000, compared to roughly $400,000 under current R4 zoning assumptions. She told councilmembers that 70 of 98 units are projected to be affordable to households earning under 100% of area median income (AMI), using the standard definition of affordability as spending no more than 30% of gross income on housing costs.
Councilmember Matt Flaherty indicated a concern about PUDs as a zoning tool, and the implications for long-term maintenance of city zoning code. In the most recent round of revisions to the city’s unified development ordinance (UDO), one of the goals was to eliminate existing PUDs, by defining them as some combination of existing standard zoning districts.
Flaherty thinks the city should be leveraging and refining its existing districts—or creating new districts through the normal UDO process—rather than relying on customized zoning (that is, PUDs) that could be difficult to administer and integrate into future citywide reforms.
Flaherty questioned why customized zoning (a PUD) was needed at all to achieve the same kind of density for Hopewell South that Flintlock was proposing. Under current R4 zoning the city’s own analysis showed 28 single-family homes by right—but the R4 zoning districts also allows four-plexes, Flaherty said, pointing out that 28 four‑plexes would mean 112 homes. That’s a number that is even more than the number of units in the proposed PUD, but staying within the existing UDO framework.
Reacting to the idea of four-plexes, one of the challenges cited by Flintlock’s Quinlan is parking. Unless there were street parking available that could be counted towards the parking minimums, it just would not be possible to provide parking for four-plexes, Quinlan said.
In the context of parking minimums, Flaherty asked about the possibility of extending the Transform Redevelopment Overlay (TRO) from other parts of the Hopewell neighborhood to include Block 9 and Block 10, which are the two blocks targeted for residential development in Hopewell South. In December 2022, the council approved the TRO which the council had asked planning staff to create, which was then applied to most of the planned new Hopewell neighborhood. The key relevant feature is that there are no parking minimums in the TRO.
Some other concerns expressed by councilmembers were practical—like how the trash-collection plan would actually work, with a lot of containers in a very tight space pickup day.
Councilmembers also flagged an implicit assumption in the layout that the former convalescent center at 714 South Rogers on Block 8 of Hopewell South will, in fact, become the city’s new police headquarters, a decision that has not yet been made or funded. Quinlan responded by saying that everything shown on the “police block” is conceptual and that the PUD for that block makes only limited modifications.
The area of Block 9 and Block 10 together is under 5 acres, which is less than the minimum required area for a PUD in Bloomington’s zoning code. That’s why Block 8 had to be included in the PUD proposal—to push the total area of the PUD over 5 acres.
Bloomington mayor Kerry Thomson framed Monday’s special meeting as an early, collaborative checkpoint. “This meeting is an effort to keep you all in the loop before it’s a thumbs-up or thumbs-down decision,” Thomson said. She doesn’t want it to be the case that there is silence from the city council until the proposal is in front of the council and then, at that point, councilmembers want “a whole bunch of changes.”


Slides from the Flintlock LAB presentation to the Bloomington city council illustrating what could be possible under existing R4 zoning if each lot included one single-family house (28 homes), compared to what could be possible under some revised zoning (84 homes).


Left: Hopewell South blocks 10, 9, and 8 as shown in the master plan. Right: Vicinity map by The B Square showing the three phases of Hopewell.
Comments ()